Fort Worth Business

Nearly 250 apartments and six-story hotel with steakhouse proposed in Grapevine

The city of Grapevine will hold a public hearing on Tuesday, April 21, for a zoning change and conditional use permit for a mixed-use development near Grapevine Mills.

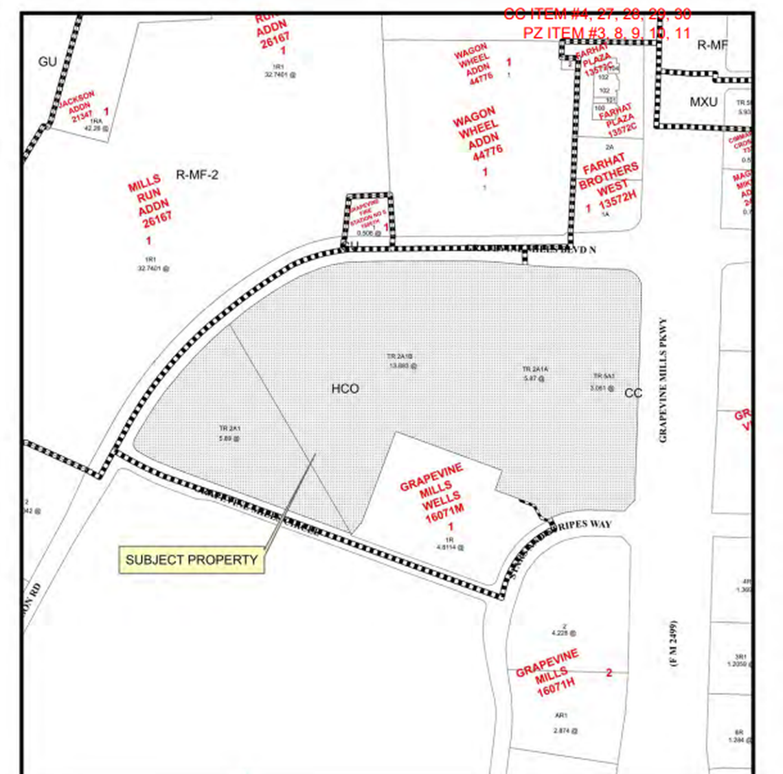
The property is is at 2800 and 3421 Grapevine Mills Parkway. The land is around 28.70 acres and would be subdivided into four lots, according to city documents.

A commercial real estate developer, Trammell Crow Company, is proposing a zoning change from hotel corporate office district to community commercial district as it plans to build three to four-story apartment buildings that would have 246 units.

The project would also include a 75-foot tall, six-story Sandman Signature Hotel on 5.9 acres with between 221 to 249 rooms, according to city documents.

A rendering of the proposed projects outlines in the Grapevine Mills Wells Addition.
A rendering of the proposed projects outlines in the Grapevine Mills Wells Addition. Courtesy of the City of Grapevine.

The 135,735-square-foot hotel would have a full-service “Chop Steakhouse and Bar Restaurant,” meeting space, a fitness center and an outdoor pool.

If approved this would be the fourth Sandman Hotel in the Metroplex. The others are in Irving, Plano and downtown Fort Worth, which remains closed after a natural gas explosion in the hotel’s kitchen in 2024.

The plan includes access from the properties to the city’s trail system and access to Grapevine Mills through sidewalks.

The council had previously denied a similar zoning change and conditional use permit that included townhouses in July 2024.

The Grapevine City Council regular meeting is scheduled for April 21 at 7:30 p.m. at City Hall.

This story was originally published April 20, 2026 at 4:50 PM.

Fousia Abdullahi
Fort Worth Star-Telegram
Fousia Abdullahi is a Fort Worth Star-Telegram news reporter who covers suburban cities including Southlake, Colleyville, Grapevine and Keller. She enjoys reading and attending local events. Send tips by email or phone.
Get unlimited digital access
#ReadLocal

Try 1 month for $1

CLAIM OFFER